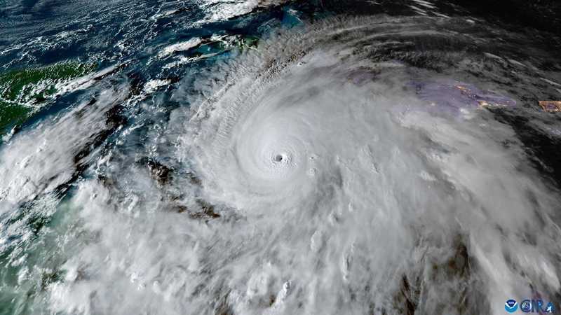
Intensità senza precedenti nel Mar dei Caraibi
L’uragano Melissa ha raggiunto la categoria 5, la massima classificazione nella scala Saffir-Simpson, e si dirige verso la Giamaica con una forza mai vista prima sull’isola. Con venti che soffiano fino a 265 chilometri orari, Melissa supera in intensità il devastante uragano Katrina, che nel 2005 causò ingenti danni e perdite umane negli Stati Uniti. Secondo i meteorologi, questa tempesta rappresenta una minaccia di gravità storica per la regione caraibica, in particolare per la Giamaica, che si prepara ad affrontare un evento climatico senza precedenti. L’analisi dell’ente meteorologico nazionale giamaicano e degli esperti del Centro Nazionale Uragani degli Stati Uniti ha evidenziato come Melissa abbia caratteristiche che la rendono eccezionalmente pericolosa. La combinazione di venti estremamente forti, piogge torrenziali e mareggiate potrebbe causare danni ingenti alle infrastrutture, alle abitazioni e all’agricoltura, con un impatto devastante sull’economia locale e sulla vita quotidiana della popolazione.
Impatti attesi e misure di emergenza
Le autorità giamaicane hanno già attivato piani di emergenza e ordinato evacuazioni nelle zone costiere più vulnerabili. Le previsioni indicano che l’uragano dovrebbe colpire l’isola nella tarda mattinata (ora italiana), portando con sé piogge intense e venti capaci di abbattere alberi, linee elettriche e causare allagamenti diffusi. Le scuole e molte attività commerciali sono state chiuse preventivamente per garantire la sicurezza dei cittadini. Gli esperti sottolineano che la rapidità con cui Melissa si è intensificato è un segnale preoccupante dei cambiamenti climatici in atto, che stanno aumentando la frequenza e la potenza degli uragani nei Caraibi. La Giamaica, già colpita in passato da eventi meteorologici estremi, si trova ora a dover fronteggiare una sfida senza precedenti, con la necessità di rafforzare le infrastrutture e migliorare i sistemi di allerta e risposta.
Confronto con Katrina e significato storico
L’uragano Katrina, noto per la sua devastazione negli Stati Uniti, è stato a lungo considerato uno degli eventi meteorologici più distruttivi della storia recente. Tuttavia, Melissa si distingue non solo per la sua intensità superiore, ma anche per il fatto di rappresentare il ciclone più potente mai registrato a colpire direttamente la Giamaica. Questo dato è stato confermato da climatologi e ricercatori del Caribbean Institute for Meteorology and Hydrology, che hanno analizzato i dati storici e le registrazioni satellitari. La portata di Melissa impone una riflessione profonda sulle vulnerabilità delle isole caraibiche, spesso esposte a fenomeni naturali estremi. La capacità di risposta e la resilienza delle comunità locali saranno messe a dura prova, mentre la comunità internazionale osserva con attenzione l’evolversi della situazione, pronta a fornire supporto umanitario e tecnico.
Conseguenze umane e sociali
Al momento, si registrano almeno sette vittime legate all’avanzata dell’uragano, un bilancio che potrebbe purtroppo aggravarsi nelle prossime ore. Le autorità sanitarie e di protezione civile stanno lavorando senza sosta per garantire assistenza alle persone colpite, con particolare attenzione ai gruppi più vulnerabili come anziani, bambini e persone con disabilità. L’impatto sociale di un evento di tale portata si rifletterà anche nel lungo termine, con la necessità di ricostruire abitazioni, infrastrutture e servizi essenziali. Le organizzazioni non governative e le agenzie internazionali sono già mobilitate per coordinare gli aiuti e supportare la ripresa post-uragano, ma la sfida rimane enorme.
